Lot For Sale near Tellico Lake
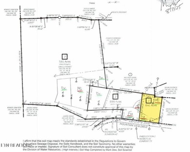
Affordable, level lot with NO RESTRICTIONS in the CITY LIMITS of VONORE! Soil work has already been done for up to a 3 bedroom septic! Perfect location just 1 mile from the lake, 6 minutes from The Mudpuppy, Sequoyah Marina and Kahite Golf Course, 15 min from downtown Maryville, and only 30 minutes to the AIRPORT! Water and electric are at the road. Sewer is not yet available, but it is just around the corner, so a possibility for the future. Septic approval for 3BR will depend on location of footprint on lot (allowing room for a 3BR septic field). R1 zoning allows duplexes but does not allow for mobile homes at this time. Seller is a builder & could possibly build your dream home! Lot 1 has been subdivided from 038 028.03. Taxes listed are for original 7ac tract. ***See Survey Plat attached for location ***Property Details
- Location: Tellico Lake
- Acres: 0.410
- County: Monroe County
- Community: Lutsenko Property Subdivision
- Property Taxes: $418
- MLS #: 1329273
Location
| Click on map to activate | |
|
|
| (Open in Google Maps) (Bing Map)  (Mapquest Map) |
Contact Information:
|
|||
|
|||
Ad Statistics:
| Ad Number : | 7266176 |
| Viewed: | 1 times |
| Added: | Feb 12, 2026 |
| Updated on: | Feb 12, 2026 |
| All information provided is deemed reliable but is not guaranteed and should be independently verified. | |
